0183 - 635011 0183 - 635011 Stel een vraag Stel een vraag
Verkocht

Stationsstraat 15

HARDINXVELD-GIESSENDAM
€ 395.000,- k.k.
  • Woonoppervlakte 122 m2
  • Perceeloppervlakte 180 m2
  • Aantal slaapkamers 5
  • Bouwjaar 1950

Omschrijving

Ontdek deze karakteristieke hoekwoning mét ruime garage — een buitenkans met potentie!

Deze woning heeft charme, ruimte én een flinke dosis mogelijkheden. Dankzij de woningbrede dakkapel telt het huis maar liefst vijf slaapkamers, waarvan één met een zonnig balkon — ideaal voor je eerste kop koffie of een momentje frisse lucht.

De woonkamer en suite is een echte sfeermaker: authentieke schuifdeuren, een gezellige eetkamer met zijraam en een tuingerichte zitkamer waar je zo de deur naar buiten openslaat. De dichte keuken ligt ook aan de achterzijde en heeft eveneens een deur naar de tuin.

Buiten vind je een ruime klus garage én een zuidgerichte, volledig bestraatte tuin — onderhoudsarm en perfect voor loungeset, pizza-oven, kinderfeestjes of wat je maar wilt.

En de ligging? Beter wordt het bijna niet: recht tegenover het station, met winkels en voorzieningen op loopafstand. Ideaal voor iedereen die graag snel weg is — of juist snel thuis wil zijn.

Highlights
•Bouwjaar: 1950
•Woonoppervlakte: 122 m²
•Perceel: 180 m²
•Comfortabel geïsoleerd, dubbel glas en een solide Energielabel C
•(Klus)garage: 26 m² met sectionaaldeur
•Woonkamer en suite: 29 m² met authentieke schuifdeuren
•Dichte keuken: 6,5 m² met deur naar de tuin
•1e verdieping: separaat toilet en wasruimte
•3 slaapkamers, waarvan 1 met balkon
•Badkamer: 3 m² met inloopdouche, wastafelmeubel en designradiator
•2e verdieping: overloop met wastafelmeubel en c.v.-opstelplaats
•Intergas HRE 28/24 cv-ketel 2024
•Slaapkamers 4 en 5 met dakkapel aan de achterzijde
•Tuin volledig bestraat, gelegen op het zuiden, met afsluitbare poort
•Screens en zonwering aanwezig
•Tegenover station en dichtbij alle voorzieningen

INDELING BEGANE GROND

Welkom!
Via de charmante jaren ’50 voordeur stap je binnen in de hal met meterkast, kelderkast en de trapopgang. Vanuit hier bereik je de dichte keuken, en via de garderobedoorloop aan de rechterzijde loop je zo de eetkamer en suite binnen. Extra praktisch: de zitkamer heeft eveneens een directe deur naar de hal.

Kamer en suite
De kamer en suite ademt sfeer en gezelligheid. In de voorkamer staat de eettafel perfect bij het raam, met leuk uitzicht op de reuring buiten en extra licht dankzij het zijraam. Via de karakteristieke schuifdeuren stap je de zitkamer in, met een groot raam en een deur naar de tuin. In totaal zo’n 29 m² wooncomfort, afgewerkt met een strakke PVC-vloer.

Keuken
De dichte keuken is bereikbaar vanuit de hal en heeft een praktische parallel opstelling met lichte fronten en een handige kast. Hij is uitgerust met een gaskookplaat, afzuigkap, combi-oven, koel-/vriescombinatie en een elektrische boiler. Extra fijn: er is ook een deur naar de tuin, ideaal voor een snelle zomerlunch buiten of om even lekker door te luchten.

INDELING EERSTE VERDIEPING

Op de eerste verdieping vind je een overzichtelijke overloop met toegang tot drie slaapkamers, de badkamer en een aparte wasruimte met toilet.

3 slaapkamers
Aan de voorzijde ligt een fijne slaapkamer met vaste kast. Aan de achterzijde bevinden zich twee slaapkamers: één zeer grote slaapkamer met wastafel en één met een zonnig balkon van ca. 3 m² op het zuiden — perfect voor een kop koffie in de ochtend of avondzon.

Opfrissen
De badkamer aan de voorzijde is ingericht met een comfortabele inloopdouche, een modern wastafelmeubel en een designradiator. Direct naast de badkamer bevindt zich een aparte ruimte met wasmachine-aansluiting en toilet — praktisch en netjes uit het zicht.

INDELING TWEEDE VERDIEPING

De overloop is voorzien van een dakraam, de opstelplaats van de combiketel en een praktisch wastafelmeubel met twee kranen.

Vanuit hier heb je toegang tot twee fijne slaapkamers aan de achterzijde. Dankzij de woningbrede dakkapel zijn deze kamers heerlijk licht en is er extra bergruimte achter de knieschotten.

In totaal biedt de woning dus vijf slaapkamers — of natuurlijk werk-, hobby- of logeerkamers, wat jij maar wilt.

Tuin & buitenruimte
De onderhoudsvriendelijke achtertuin is volledig bestraat en ligt op het zonnige zuiden — ideaal voor iedereen die graag zoveel mogelijk zon meepakt zonder zich druk te maken over tuinonderhoud.
Aan de zijkant ligt de oprit met poort en toegang tot de garage van 26 m², voorzien van een sectionaaldeur, loopdeur en raam. Perfect voor klussen, hobby’s of extra opslag.
De tuin biedt bovendien volop privacy dankzij de schuttingen en de groene klimop afscheiding. Een rustige, praktische buitenruimte waar je het hele jaar door plezier van hebt.

Lees de volledige omschrijving

Kenmerken

Overdracht

Status Verkocht
Aanvaarding In overleg

Bouwvorm

Soort object Woonhuis
Soort woning Eengezinswoning
Type woning Hoekwoning
Bouwjaar 1950
Bouwvorm Bestaande bouw
Ligging Aan een rustige weg

Indeling

Woonoppervlakte 122 m²
Perceeloppervlakte 180 m²
Inhoud 422 m³
Aantal kamers 6
Aantal slaapkamers 5
Aantal woonlagen 3

Energie

Energieklasse C
Energie einddatum maandag 2 december 2030
Isolatie Dakisolatie, muurisolatie, vloerisolatie, dubbel glas
Warmwater Elektrische boiler eigendom
Verwarming Cv ketel

Buitenruimte

Tuin Achtertuin, zijtuin
Hoofdtuin Achtertuin
Oppervlakte hoofdtuin 95 m²
Ligging hoofdtuin Zuid
Achterom Nee
Kwaliteit tuin Normaal

Bergruimte

Garage Vrijstaand steen
Voorzieningen Elektra

Parkeergelegenheid

Voorzieningen Op eigen terrein

Dak

Dak Zadeldak

Overig

Permanente bewoning Ja
Onderhoud binnen Goed
Onderhoud buiten Goed
Huidig gebruik Woonruimte
Huidige bestemming Woonruimte

Voorzieningen

Voorzieningen Tv kabel, buitenzonwering, dakraam, natuurlijke ventilatie

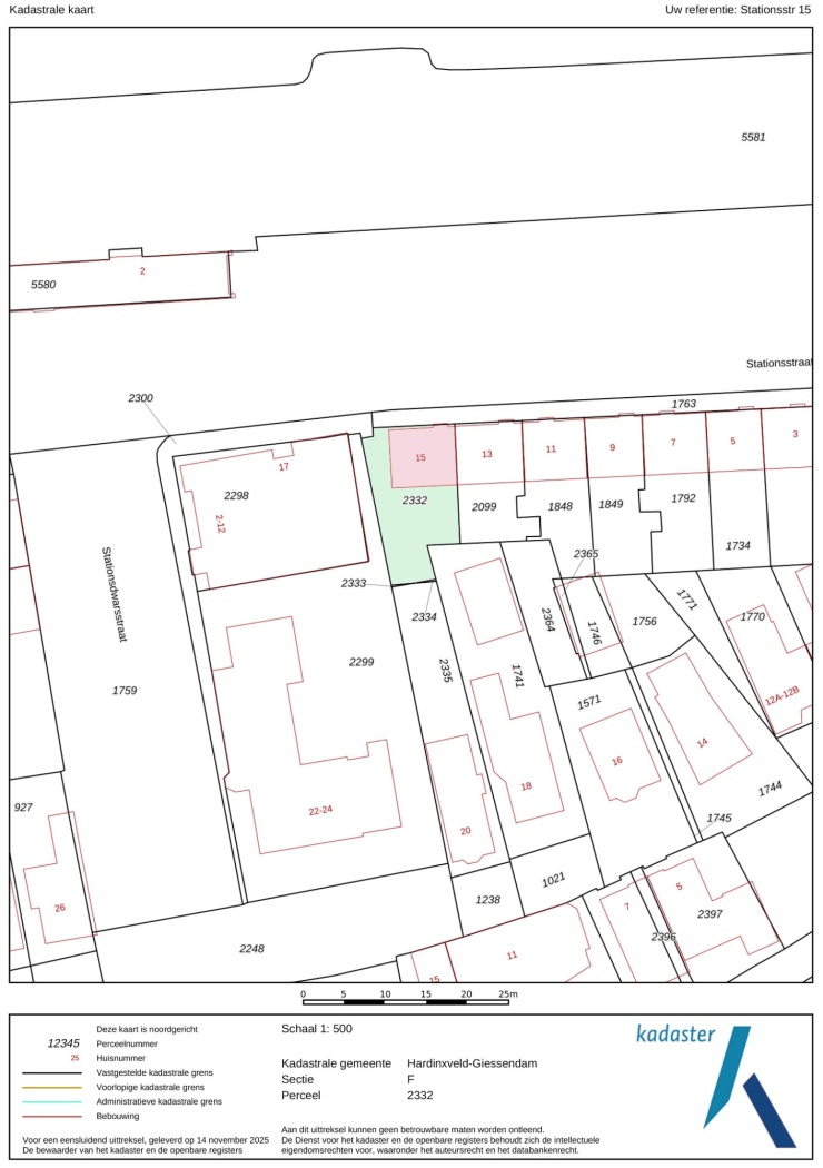
Kadastrale gegevens

Gemeente Hardinxveld-Giessendam
Sectie F
Perceelnummer 2332
Oppervlakte 179 m²
Eigendomssituatie Volle eigendom
v1-20250318-8G0A1608E
Interesse in deze woning?

Leo helpt u graag

Gratis waardebepaling

U denkt erover uw woning te verkopen en wilt graag weten wat het waard is? We komen graag bij u langs en bepalen de waarde van uw woning.

Gratis waardebepaling

Deel deze woning

Uw persoonlijke adviseur in de regio

Maak kennis met de HypotheekWeter

Ligging

Afspraak maken voor een bezichtiging? Neem contact met ons op

Vergelijkbare woningen