0183 - 635011 0183 - 635011 Stel een vraag Stel een vraag
Open huis

Iepenlaan 7

WOUDRICHEM
€ 750.000,- k.k.
Open huis

Meld u telefonisch aan voor de kijkdag op zaterdag 24 januari 2026 van 11:00 tot 12:00 uur.

  • Woonoppervlakte 184 m2
  • Perceeloppervlakte 530 m2
  • Aantal slaapkamers 4
  • Bouwjaar 1995

Omschrijving

Open huis | Zaterdag 24 januari | 11:00 – 12:00 uur
Ontdek deze woning tijdens ons open huis. Een afspraak maken is niet nodig. Je mag vrijblijvend binnen lopen. Hopelijk tot dan!

Ruimte, sfeer en een glimlach in één pakket

Aan de Iepenlaan 7 staat een charmante vrijstaande woning die je meteen verrast met ruimte, sfeer en comfort. Energielabel A, goed geïsoleerd, airco, zonnepanelen, rolluiken, zonwering… dit huis is gewoon helemaal klaar voor de toekomst.

Binnen vind je een royale, lichte woonkamer met dubbele openslaande deuren naar de tuin, een ruime leefkeuken en een praktische bijkeuken met toegang tot de garage. Ideaal voor wie graag samenkomt, kookt, relaxt of simpelweg geniet van een fijne leefruimte.

Op de verdieping liggen vier nette slaapkamers, waaronder een master met eigen kleedkamer (óf vijfde kamer, als je minder kleding hebt dan je dacht). De badkamer met dakkapel voelt als een kleine privé spa. Via de vlizotrap bereik je de bergzolder.

De tuin is royaal en sfeervol, met meerdere terrassen, een groen gazon en prachtige leibomen. Met voortuin, oprit en garage is het plaatje compleet. En de ligging? Je wandelt zo naar Het Rond met winkels en supermarkten — inclusief de Lidl met, jawel, top groente, fruit en brood.

Hier binnenstappen voelt echt als thuiskomen. Beleef het zelf tijdens een bezichtiging!

INDELING BEGANE GROND

Welkom!
Aan de voorzijde oogt de woning meteen vriendelijk, met charmante leibomen, een verzorgde voortuin en een oprit naar de garage. Het driehoekige detail in het dak verraadt al de prachtige vide binnen, die de hal en de verdieping met elkaar verbindt. Bij binnenkomst in de royale entree heb je direct toegang tot de toiletruimte, de meterkast, de trap naar de eerste verdieping én via een stijlvolle taatsdeur tot de woonkamer. Een warm welkom dat nieuwsgierig maakt naar de rest van het huis.

Woonkamer
Deze woning beschikt over een heerlijke, lichte woonkamer van 49 m². Aan de voorzijde bevindt zich een sfeervol zitgedeelte met meerdere ramen én een mooi hoekraam, waardoor de ruimte baadt in het daglicht. Aan de tuinzijde openen dubbele deuren naar buiten en is er volop plek voor een grote, gezellige eettafel. Ook hier zorgen de fraaie lichtramen voor een prettig uitzicht op de tuin. De mooie houten vloerdelen geven de woonkamer een warme, luxe uitstraling en maken het geheel helemaal af.

Leefkeuken
Vanuit de woonkamer stap je de dichte leefkeuken binnen. Dankzij het raam aan de voorzijde én het raam met zicht op de oprit is dit een heerlijk lichte ruimte. Het is een échte woonkeuken: een rechte keukenopstelling met volop plek voor een royale eettafel, perfect te combineren met een gezellige eetbank tegen de muur – zo’n plek waar je spontaan langer blijft zitten omdat het zó knus voelt. De keuken is uitgerust met een 5-pits Smeg fornuis met oven, afzuigkap, vaatwasser, koelkast en magnetron – volledig ingericht voor zowel het snelle ontbijtje als het lange, bourgondische diner.

Bijkeuken
Aansluitend aan de leefkeuken bevindt zich de praktische én verrassend handige bijkeuken. Hier vind je de opstelplaats voor wasmachine en droger, een royale schuifwandkast en ruimte voor bijvoorbeeld een extra vriezer – ideaal voor gezinnen of kookliefhebbers. Met een deur naar de tuin én een binnendoor toegang tot de garage is dit een ruimte die het dagelijks leven echt makkelijker maakt. Boodschappen uitladen, was doen, voorraad kwijt kunnen: alles kan hier efficiënt én droog onder één dak.

Inpandige garage
De ruime inpandige garage (ca. 6,80 × 3,40 meter) sluit direct aan op de woning en is bijzonder comfortabel binnendoor bereikbaar via de bijkeuken. Dankzij het raam, de dubbele deuren aan de voorzijde en de loopdeur naar de tuin is dit veel meer dan alleen een plek om te parkeren. De garage is uitgerust met een praktisch keukenblok, een uitstortgootsteen met warm en koud water en herbergt de cv-combiketel. Een ideale ruimte voor klussers, hobbyisten, opslag, het wassen van tuingereedschap of simpelweg het droog uitladen van de boodschappen.

INDELING EERSTE VERDIEPING

Overloop
De overloop vormt een prachtige, ruime verkeersruimte met een open vide die het huis een heerlijk luchtig en licht karakter geeft. Vanuit hier heb je toegang tot maar liefst vier slaapkamers en de badkamer.

4 slaapkamers + kleedkamer
De verdieping biedt vier comfortabele slaapkamers. Eén kamer beschikt over een praktische schuifwandkast en de masterbedroom wordt extra verwend met een ruime kleedkamer met dakraam – ideaal voor de liefhebbers van overzicht en ruimte. Deze kleedkamer kan desgewenst ook dienst doen als vijfde slaapkamer, werkruimte of hobbykamer.

Badkamer – een plek om op te frissen én te ontspannen
De moderne badkamer voelt als een klein relax paradijs, mede dankzij de dakkapel aan de achterzijde die extra licht en ruimte geeft. De badkamer is uitgerust met een dubbel wastafelmeubel met spiegel, een heerlijk ligbad met handdouche en ingebouwde wandkranen, een douchecabine, een tweede toilet en een elegante designradiator. Alles is afgewerkt in neutrale tegels, waardoor de ruimte tijdloos, fris en rustgevend aanvoelt — de perfecte plek voor een ontspannen start en afsluiting van je dag.

Zolder
Via een vlizotrap vanaf de overloop bereik je de zolder: een praktische en ruime bergzolder waar al je spullen een overzichtelijke plek vinden.

Tuin & buitenruimte
Op het royale perceel van 530 m² ligt een fraai aangelegde tuin die uitnodigt om volop van het buitenleven te genieten. Het groene gazon, de verzorgde plantenborders en de prachtige dakplataan vormen samen een sfeervol geheel. Aan de achterzijde zorgen leibomen en hoge coniferenhagen voor optimale privacy, waardoor de tuin aanvoelt als een eigen, rustige wereld.
Met drie ruime zonneterrassen is er altijd wel een perfecte plek te vinden — of je nu wilt ontbijten in de ochtendzon, gezellig wilt borrelen in de namiddag of juist de schaduw opzoekt tijdens warme zomerdagen.
Aan de voorzijde biedt de eigen oprit parkeergelegenheid op eigen terrein, terwijl de tuin rondom de woning is gelegen, met het achterste deel op het noorden en oosten. Een heerlijke buitenruimte waar iedere dag iets te ontdekken en te genieten valt.

Highlights
•Bouwjaar 1995 – degelijk, modern en uitstekend onderhouden
•Woonoppervlakte 184 m² – royaal en licht
•Perceel 530 m² – volop ruimte rondom de woning
•Inpandige garage + parkeren op eigen terrein
•Riante woonkamer (49 m²) met veel licht en tuin verbinding
•Leefkeuken (18 m²) – ideaal voor lange ontbijten en gezellige diners
•Praktische bijkeuken met wasmachine-aansluiting en deur naar tuin én garage
•Inpandige garage met dubbele deuren, raam en loopdeur naar de tuin
•1e verdieping met vide – ruimtelijk en elegant
•4 slaapkamers, inclusief masterbedroom met kleedkamer (of 5e kamer)
•Badkamer (8 m²) met dakkapel, ligbad, douchecabine, toilet, dubbel wastafelmeubel en designradiator
•Bergzolder bereikbaar via vlizotrap
•Uitstekend geïsoleerd – Energielabel A + 22 zonnepanelen
•Rolluiken en zonwering voor comfort in elk seizoen
•2x airconditioning voor aangenaam binnenklimaat
•Fraai aangelegde tuin rondom, met meerdere terrassen
•Rustige ligging, op loopafstand van scholen en alle dagelijkse voorzieningen

Omgeving – Woudrichem
De woning ligt op een mooie, vrije locatie in een rustige, autoluwe straat, op loopafstand van winkelcentrum 'Het Rond' met diverse supermarkten, scholen en andere voorzieningen. Ook de historische vestingstad Woudrichem ligt om de hoek: een sfeervolle plek met oude stadswallen, monumentale panden, de stadshaven en gezellige horeca.
Recreëren kan hier volop. Je wandelt zo richting het water, de vesting of — iets verderop — Slot Loevestein, een iconische plek in het rivierenlandschap. Daarnaast is er een pontverbinding naar Gorinchem, ideaal voor een uitstapje naar de overkant. De uitvalswegen richting Gorinchem, Breda, Waalwijk, ’s-Hertogenbosch en de A27 zijn snel bereikbaar. Kortom: een heerlijke woonomgeving waar stadse charme, historie en rust samenkomen.

Lees de volledige omschrijving

Kenmerken

Overdracht

Status Beschikbaar
Aanvaarding In overleg

Bouwvorm

Soort object Woonhuis
Soort woning Eengezinswoning
Type woning Vrijstaande woning
Bouwjaar 1995
Bouwvorm Bestaande bouw
Ligging Aan een rustige weg, in een woonwijk

Indeling

Woonoppervlakte 184 m²
Perceeloppervlakte 530 m²
Inhoud 767 m³
Aantal kamers 6
Aantal slaapkamers 4
Aantal woonlagen 3

Energie

Energieklasse A
Energie einddatum maandag 13 augustus 2029
Isolatie Dubbel glas, hr glas
Warmwater Cv ketel
Verwarming Cv ketel

Buitenruimte

Tuin Tuin rondom
Hoofdtuin Tuin rondom
Achterom Ja
Kwaliteit tuin Normaal

Bergruimte

Garage Aangebouwd steen, inpandig, eigen parkeerplaats
Voorzieningen Elektra, water

Parkeergelegenheid

Voorzieningen Openbaar parkeren, op eigen terrein

Dak

Dak Zadeldak

Overig

Permanente bewoning Ja
Onderhoud binnen Goed
Onderhoud buiten Goed
Huidig gebruik Woonruimte
Huidige bestemming Woonruimte

Voorzieningen

Voorzieningen Tv kabel, airconditioning, zonnepanelen

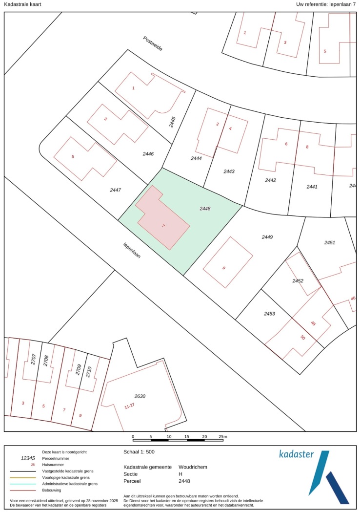
Kadastrale gegevens

Gemeente Woudrichem
Sectie H
Perceelnummer 2448
Oppervlakte 530 m²
Eigendomssituatie Volle eigendom
PLR55485
Interesse in deze woning?

Dionne helpt u graag

Gratis waardebepaling

U denkt erover uw woning te verkopen en wilt graag weten wat het waard is? We komen graag bij u langs en bepalen de waarde van uw woning.

Gratis waardebepaling

Deel deze woning

Uw persoonlijke adviseur in de regio

Maak kennis met de HypotheekWeter

Ligging

Afspraak maken voor een bezichtiging? Neem contact met ons op

Vergelijkbare woningen